The Reno Planning Commission, during its April 1 meeting, approved Toll Brothers’ tentative map of the Talus Valley Villages development.
Toll Brothers’ affiliate, TL Talus LLC, is listed as the owner and developer. Wood Rodgers, Inc. is the project representative and engineer.
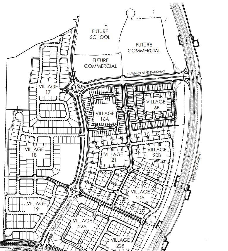
The project consists of two villages, Talus Valley Village 16A and Talus Valley Village 16B, that will be constructed in a single phase. Village A features 81 lots with an average lot size of 1.6KSF. Village 16B adds 104 more lots, bringing the grand total to 185.
Units in Village A will be spread amongst clusters of three or seven, while Village B will have clusters ranging from four-to-six. NVBEX covered this project prior to the Planning Commission meeting. (NVBEX; Feb. 24)

The Villages townhome community is intended to provide more options in the “missing middle” of housing options. The development was also discussed at a Neighborhood Advisory Board meeting on March 3.
The site is proposed on an 18.5-acre site near Veterans and South Meadows parkways. The project is part of the 980-acre Talus Valley master plan that was previously dubbed Daybreak.
Developers must receive approval of the final map and building permits prior to construction.
















