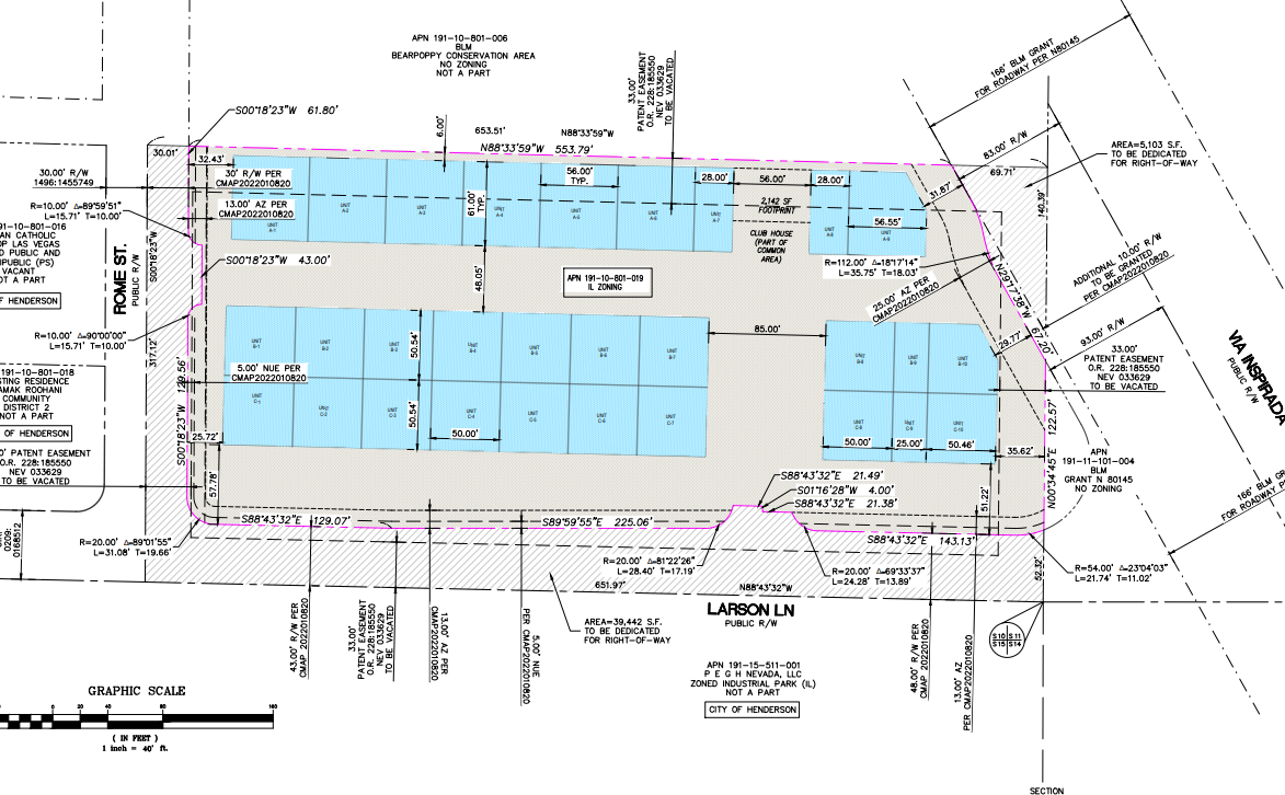
The Henderson Planning Commission re-approved the Tentative Map for The Stack at Inspirada at the NWC of Via Inspirada and Larson Lane in west Henderson.
The Stack is to be comprised of 30 industrial condominium lots, 29 of which are to be privately owned garage units, and the remaining lot is to be a common one. Units are to be spread across the development’s three buildings.
Planning documents indicate the gross area of the development is 206.4KSF. Each unit will range from 1.7KSF to 3.4KSF.
The Stack Auto Lofts, LLC is the owner, with Pegasus Development serving as the developer. Balova Engineering served as the civil engineer.
The entrance to the site will be via a commercial driveway on Larson Lane. Rome Street will also contain a commercial driveway and emergency exit.

Project History
The map was originally approved in 2021 but later expired in February 2025. The Waivers of Development Standards and Design Review also expired but were re-approved in January.

The freshly approved map lowers the unit count from 54 to 29. The purpose of the change was to offer larger and more luxurious spaces for patrons. The building footprint and area remain the same as originally proposed.
In its recommendation for approval, staff stated it supports the re-approval as the applicant has put significant work into the project. The applicant has already received approvals for traffic studies, drainage studies and its civil improvement plans. The applicant has also paid fees and has formed a Standard Development Agreement.













