Serving the A/E/C Industry

Latest Stories in Planning & Development...

Emerald Island Casino Front
Henderson City Council Slated to Review Emerald Island Casino Expansion
Sloan 20 BUilding 1 Floor Plan
Three-Building Industrial Project Planned in Unincorporated Clark County
StoneGate Master Plan
StoneGate Master Plan Denial Reversed
Moapa West Master Plan
Moapa West Master Plan Seeking Final Approval Next Month
ARCA-MF-Elevation-1-
Avision Development Partners Proposing 255-Unit Apartment Tower in Spring Valley

Latest Stories in Local News...

HCA Healthcare Sign in Las Vegas
HCA Searching for Developer for 16.6-Acre Site off Las Vegas Blvd.
Fire Station 53
North Las Vegas to Receive Nearly $3M for Fire Station 53 Defects
Danielle Casey
LVGEA President and CEO Danielle Casey to Shake Up Southern Nevada Economic Development
TRN-LOC-Construction-Claims
Construction Jobs Fall Alongside Home Sales
LOC-Sparks-DC-Restrictions
City of Sparks Exploring Data Center Regulations

Latest Stories in Trends...

TRN-LOC-Construction-Claims
Construction Jobs Fall Alongside Home Sales
FP-TRN-LOC-RLB-Q3-Const-Costs
Las Vegas Construction Costs See 4.85% Q3 Annual Change
Final-Updated-Graph
Construction Employment Plummets Statewide in August
NAIOP Panelists
Providers Race to Meet Surge in Demand for Data Centers
TRN-Confidence
Job Confidence Falls Nationally, Could Explain Las Vegas Tourism Decline

Latest Stories in Nevada Projects...

WIP-Hard-Rock
Nevada Projects 10-17-25
WIP-Library
Nevada Projects 10-10-25
Grand Sierra Resort Rendering
Nevada Projects 10-03-25
I-15 Tropicana Avenue Interchange
Nevada Projects 09-26-25
WIP-Green-Valley
Nevada Projects 09-19-25

Latest Stories in Federal...

Esmeralda 7 Map by Bureau of Land Management
Esmeralda 7 Solar Project Currently Canceled
Solar Panels on a Roof
Environmental Protection Agency Pulls $156M in Nevada-Based Solar Funding
FED-LEG-New-Housing
Proposed Legislation Aims to Increase Housing Supply
FED-LEG-LIHTC-Permanent
Tax Bill Would Make LIHTC Permanent
LOC-FED
New Law to Give N. Las Vegas Authority Over Industrial Park

Latest Stories in Budget...

LOC-BUD-Vegas-Delaying-CIP-Projs
City of Las Vegas Delaying $19.7M Worth of Capital Improvement Projects
LOC-BUD
Budget Provision Calls for Selling Millions of Acres of Western Federal Land
5e4814b9-051625_nvleg_00368
Proposed AB587 Could Pull $350M from Rainy Day Fund
Tariffs
Southern Nevada Water Authority Discusses Budget and Tariffs
NDOT_logo_t670
NDOT Discusses Budget at NAIOP Southern Nevada Breakfast Panel

Latest Stories in People on the Move...

PPL Rebuilding Together
Industry Professionals 10-21-25
DeBouer Awards Logo
Industry Professionals 10-14-25
Metcalf Builders
Industry Professionals 10-07-25
PPL-MC-Companies
Industry Professionals 09-30-25
Basin Street Properties Logo
Industry Professionals 09-23-25

Latest Stories in Commercial Real Estate...

CRE Elysian at Post
Commercial Real Estate 10-21-25
CRE-9911-Covington-Cross-Dr
Commercial Real Estate 10-14-25
CRE-9501-Hillwood-Drive
Commercial Real Estate 10-07-25
Colton Apartments
Commercial Real Estate 09-23-25
CRE-Ford
Commercial Real Estate 09-16-25

Latest Stories in Legal...

Fire Station 53
North Las Vegas to Receive Nearly $3M for Fire Station 53 Defects
FED-LEG-New-Housing
Proposed Legislation Aims to Increase Housing Supply
FED-LEG-LIHTC-Permanent
Tax Bill Would Make LIHTC Permanent
Byrd-Rule
Public Lands Sale Proposal Removed from Budget Again
LEG-PD-Campus-for-Hope
Lawsuit Filed to Prevent Planned Campus for Hope Transitive Housing Development in Las Vegas

Latest Stories in Water...

Colorado River
Nevada to Lose 7% of Colorado River Allocations Due to Drought
Water-Negotiators
Water Negotiators Duck Meeting to Discuss New Colorado River Plan
LEG-WAT-Help-Hoover-Dam-Act
Proposed Legislation Could Fund Hoover Dam Upgrades
Water
Controversial Water Bill Presented to Assembly Committee
WAT-NV-Water-Efficiency-
Nevada Ranked Most Efficient Water Consumer of Basin States

Serving the A/E/C Industry

Three-Building Industrial Project Planned in Unincorporated Clark County

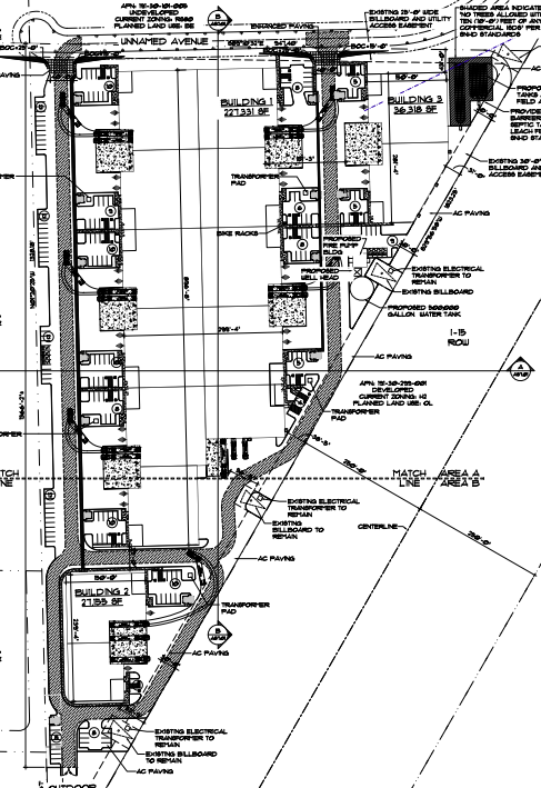
Sloan 20 LLC is slated to bring its proposed three-building industrial project, known as Sloan 20, before the Clark County Zoning Commission during its Oct. 22 meeting.

Sloan 20 LLC is the property owner, with Visicon Group currently listed as the developer. DC Petersen Professional Consultants is the architect, landscape architect and project representative.

The industrial development is proposed on a triangular-shaped 17.3-acre site west of Interstate 15 and south of Sloan Road in the South County planning area. Developers are requesting a zone change from Industrial Park to Industrial Light.

The first office/warehouse building will be 228.3KSF, the second will be 27.2KSF, and the final building will be 36.3KSF. Plans also include a 347SF fire pump house. In total, there will be 291.2KSF of vertical development. Plans also call for an 18KSF outdoor storage yard.

Building One will have 11 individual suites. This is to be made up of nine 21.4KSF, a 15KSF and an 18.8KSF shell suite. Building Two will have two suites. The first will be 16.6KSF, while the second will be 10.5KSF. Building Three will have an 18.8KSF suite and a 17.5KSF suite.

Credit: DC Petersen Professional Consultants/Clark County

Building One will sit toward the northwest portion of the site and will be aligned from the north to the south. Building Two will be situated toward the south, and Building Three will be constructed at the NEC of the site.

The three primary structures will have a maximum height of 40.5 feet. Roofs are described as flat and will be hidden behind varied parapet walls.

Building exteriors are described as featuring tilt-up concrete walls painted grey, decorative copper-tone awnings, faux windows and aluminum storefront windows. Each building will feature roll-up doors.

Parking will consist of several small five-to-10 space parking courts on the sides of each building. Additional parking will be located on the western property line. Regulations call for a total of 138 parking spaces. Developers are planning 189 total spaces throughout the site.

Access is planned via a proposed 60-foot-wide street toward the northern end of the site. The unnamed street will start northeast of the site at the south end of Arville Street. The proposed street will terminate in a cul-de-sac at the NWC of the site.

Developer Requests

Alongside the zone change, developers are requesting five Waivers of Development Standards and a Design Review.

The first waiver is to eliminate the landscape buffer adjacent to the freeway. The second is to allow pedestrian walkways to cross loading dock areas. Staff recommended approval of these two waivers and the Design Review, saying the development will encourage further industrial development in the area.

Staff did not, however, support the remaining three waivers. These include a request for a 74% reduction in the driveway throat depth, the elimination of off-site improvements and waiving the local street dedication to Garza Street.

Credit: DC Petersen Professional Consultants/Clark County

Leave a Reply

Your email address will not be published. Required fields are marked *

Learn More About Our Services
Henderson City Council Slated to Review Emerald Island Casino Expansion
Henderson City Council Slated to Review Emerald Island Casino Expansion
ECL Water Street, LLC is taking its proposed expansion of the Emerald Island Casino at 120 Market St....
Read More
Three-Building Industrial Project Planned in Unincorporated Clark County
Three-Building Industrial Project Planned in Unincorporated Clark County
Sloan 20 LLC is slated to bring its proposed three-building industrial project, known as Sloan 20, before...
Read More
Industry Professionals 10-21-25
Industry Professionals 10-21-25
Giving Back 1. Rebuilding Together Southern Nevada held its annual Make a Difference Day in Henderson,...
Read More
Commercial Real Estate 10-21-25
Commercial Real Estate 10-21-25
Sales Transactions 1. Authentic Capital Group purchased the 384-unit Elysian at Postat 9280 W. Post Road...
Read More
StoneGate Master Plan Denial Reversed
StoneGate Master Plan Denial Reversed
The Truckee Meadows Regional Planning Governing Board reversed its denial of the StoneGate Master Plan...
Read More
Mark Hobaica

Mark Hobaica

Executive Vice President

Core Construction

Since 2019, as CORE Construction’s Executive Vice President for Nevada, Mark ensures every client CORE serves receives the highest level of personalized care for every project. Mark’s passion is client Trust. He cares deeply about CORE’s reputation, partnerships and providing the highest quality and services, as well as most honest and best value possible. He has worked in the Las Vegas Valley and for the Public Works sector for nearly 35 years. He began as an owner in a local architectural firm designing and overseeing projects for Public Works clients for nearly 12 years. He clearly understands the expectations of the public sector, as he then directed numerous projects for over 16 years as the City Architect for the City of Henderson. His focus has always been delivering projects using CMAR or Construction Manager at Risk as he has implemented dozens of projects with his trusted approach, while always involving every stakeholder to ensure each individual receives the highest level of services expected.